homelistingsinforecent saleabouttestimonialscontact
 

Awesome vistas and Stream frontage

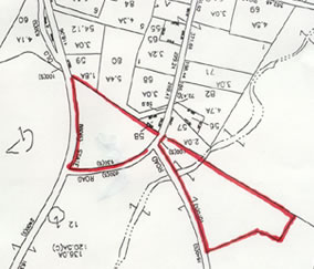
This great parcel is actually into two; on 13 acre piece and one 8+ acre piece. The property has 2800' frontage on Route 22 and also the property is on the south side of Overlook Road. Property offers awesome vistas and frontage on a stream that runs along the property. A wonderful opportunity.

Price: SOLD
Acreage: 21.1 acres
Taxes: $1,222.75

 

 
MLS Realtor equal housing Equal Housing Opportunity
Offerings subject to errors, omissions, withdrawl and price change without notice.